Hallo
Hier würde man unsere Vorstellung finden:
Gizmo stellt sich vor - Vorstellungsbereich - Das Schäferhund Forum (das-schaeferhund-forum.de)
Und um das alles geht es nun:
Bis vor gut einem halben Jahr war alles in Ordnung. Gizmo sprang wie wild, spielte, war rundum glücklich.
Dann passierte das bei einem Spiel mit einem Collie, dass während des Spiels ein kurzer Schmerzlaut zu hören war.
Da aber unvermindert weiter gespielt wurde, schenkte ich dem weiter keine Beachtung.
Die folgte dann aber schon im Laufe des weiteren Tages. Gizmo lief ab da nur noch im Schleich-Tempo, leichter Buckel, auch seine Häufles veränderten sich ab da.
Aus normalem Häufle wurde zumnehmend ein hellbrauner Brei.
Mit diesen Symptomen incl. der Mitnahme des Häufles musste ich ab da insgesamt 3 Tierärzte und 3 Kliniken aufsuchen.
Hilfe und endliche Diagnose kam aber erst nach gut 3 Monaten zustande, welche dadurch bestärkt wurde, dass Gizmo an einem Samstag ein Häufle mit großer Blutlache absetzte.
Der Nottierarzt an diesem Samstag, dem ich übrigens das Blut-Häufle-Gemisch selbstverständlich mitnahm meinte aber nur, dass ich damit in eine Klinik müsste. Als ich dann meinte, dass ich schon in 3 Kliniken war, wollte er auch nicht weiter wissen.
Gleich am Montag ging ich dann zum 3ten Tierarzt. Ich hatte am Samstag die blutige HInterlassenschaft zum Glück auch fotografiert und zeigte ihm das.
Am Montag wurde Gizmo dort dann erst mal gründlichst untersucht, weiter wurde noch Blut und das wieder mitgebrachte Häufle ins Labor gesendet.
Da gab es dafür endlich eine Diagnose: Gizmo hatte eine Bauchspeicheldrüsenentzündung, deren Ursache wahrscheinlich beim Spiel mit Schmerzlaut zu finden war, - , Verletzung der Bauchspeicheldrüse.
Da konnte dann endlich gezielt behandelt werden. Medikamentös und mit speziell erreichnetem Futter konnten wir das nach einem knappen Monat wieder in den Griff bekommen.
Da sich Gizmo aber ab dem Tag als alles begann ein eigenes Laufbild angewöhnte, Muskelverhärtungen entlang der Wirbelsäule zeigte, wurde da auch noch eine Physio mit einbezogen.
Leider brachte alles insgesamt nur mittlere Verbesserungen. Bauchspeicheldrüse hat sich zwar wieder erholt, jedoch ist Gizmo in seinen Bewegungen und allem, noch sehr gehemmt.
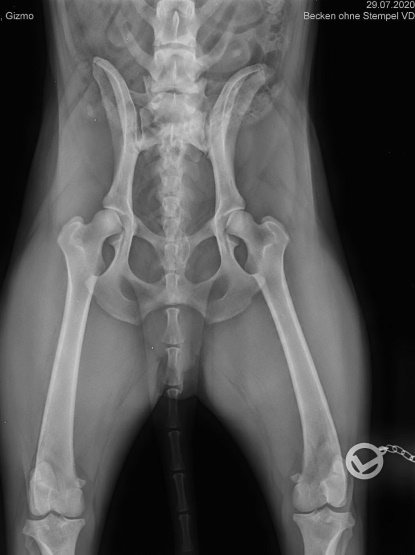
Hieß - weiter Tierarzt, diesmal Röngten.
Beim Betrachten des Bildes wurde unser Tierarzt aber stutzig. Er zählte und zählt mehrmals und fand dann raus, dass Gizmo einen Übergangswirbel hatte.
Da das eine Erkrankung ist die bei Schäferhunden vorkommt hoffe ich, dass ich hier Tipps bekommen werde.
Welche Therapie?
Häufigkeit von Physio?
Gibt es operative Maßnahmen?
Wenn ja, welche Klinik wäre da zu empfehlen:
Vielen Dank für Hilfe und Ratschläge - Gizmo
Hier nun noch die beiden Röngten von Gizmo wo der Übergangswirbel zu sehen sei, wo mich hier besonders interessiert, ob ihr den zum Einen auch seht und zum Anderen, welche Stufe von Übergangswirbel das wohl ist - 0 bis 3?